Halle/Lager/Produktion zur Miete in Lödla

Idealer Gewerbestandort mit starker Verkehrsanbindung & vielfältiger Nutzung *PROVISIONSFREI*

Preis auf Anfrage

Miete zzgl. NK
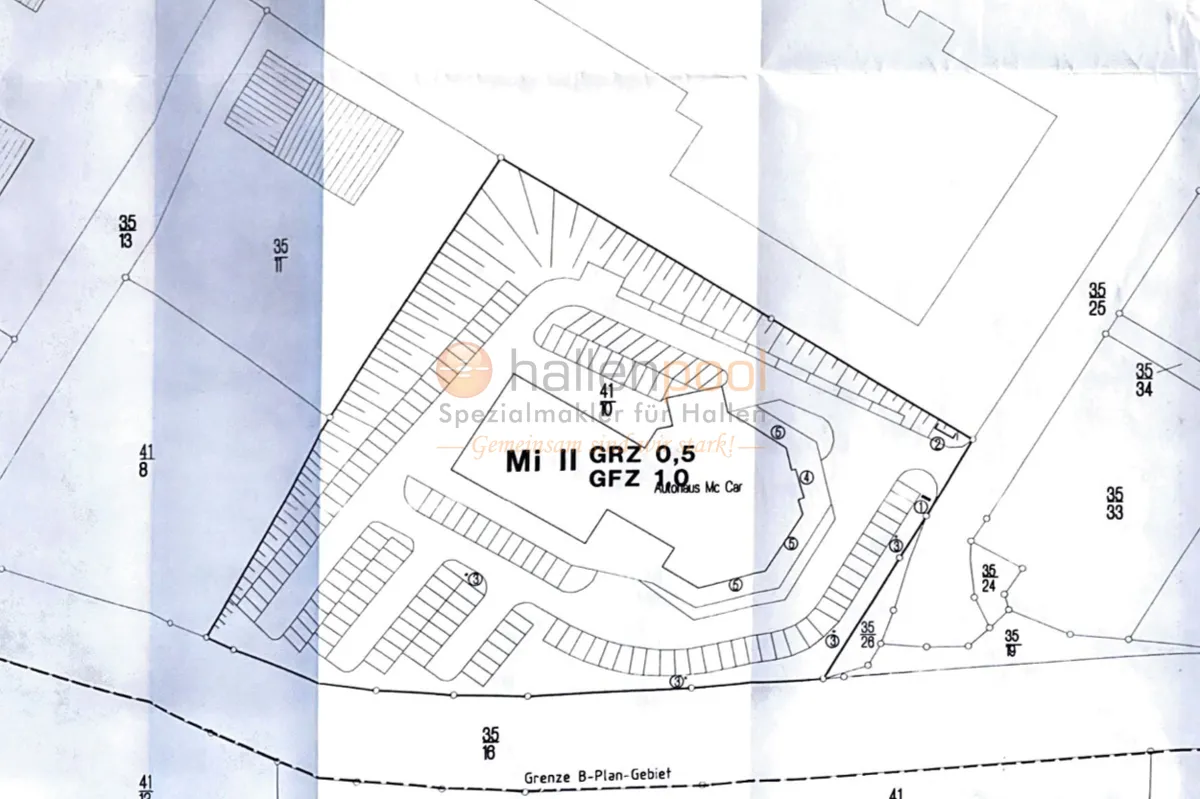
  • 9.000 m²

    Grundstück (ca.)
  • 77 m²

    Bürofläche (ca.)
  • 1.568 m²

    Gesamtfläche (ca.)
  • 1995

    Baujahr

Preise & Kosten

Standort

04617 Lödla

Preise
  • Miete zzgl. NK Preis auf Anfrage

Die Immobilie

Halle/Lager/Produktion zur Miete
  • Objekt-Nr UH733
  • Provisionspflichtig Nein
  • Gewerbliche Nutzung möglich Ja
  • Unterkellert Nein
  • Boden Fliesen
  • Zustand gepflegt
Stellflächen
  • Anzahl Stellplätze 130
  • Stellplatzmiete 0 €
  • Stellplatzpreis 0 €
  • Stellplätze 130
Weitere Flächen
  • Lagerfläche (ca.) 1.142 m²
  • Freifläche (ca.) 7.432 m²
  • min. teilbare Fläche (ca.) 350 m²

Ihr Ansprechpartner

Herr Ullrich Heidler

Telefon: 004915142649053

Ihre Anfrage